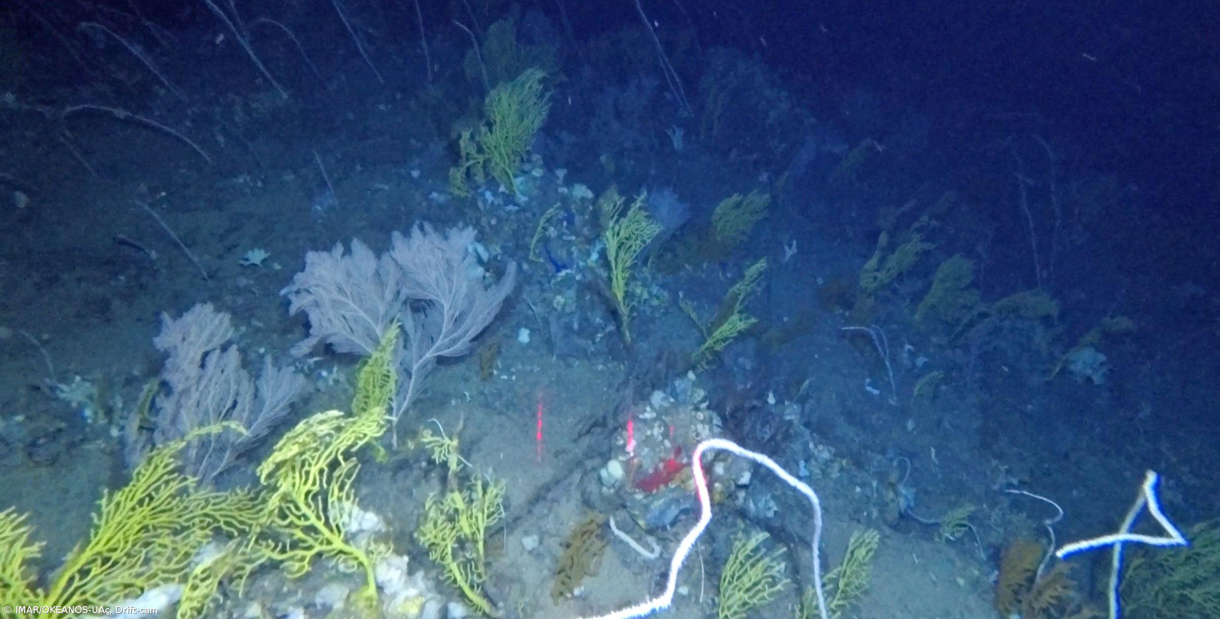
As missões de exploração do mar profundo dos Açores realizadas pela equipa do Okeanos da Universidade dos Açores (UAc) revelaram “novos e extensos jardins de corais e esponjas”, descobertas que os investigadores esperam influenciem futuras políticas de conservação e gestão do mar profundo.
Estas descobertas, de acordo com a equipa do Okeanos, “reforçam a necessidade de melhor conhecer...
